Encuentro Tecnológico #4burgosi40 -> Corner Suelo Industrial Burgos -> Catálogo
Resumen
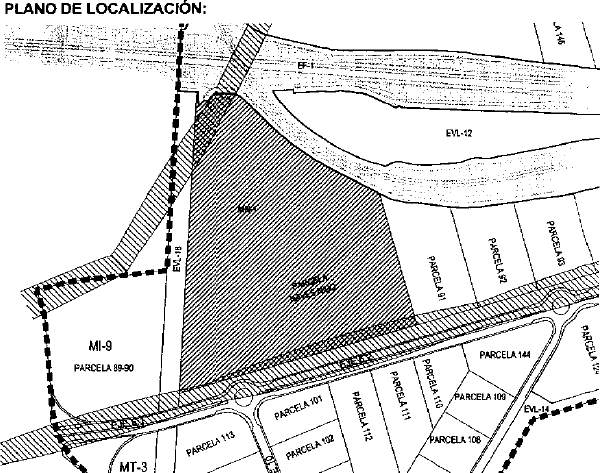
Parcela de 80 848.42 m2 de aprovechamiento neto (superficie de 101 060.53 m2).
Ubicación
Burgos. Polígono Industrial de Villalonquéjar
Imagen / Planos


Características
Linderos
- N: EF-1 (FFCC)
- S: EVL-13 (Zona Verde)
- E: parcela 91
- O: EVL-18 (Zona Verde)
Precio
- Valoración previa de la parcela: 8.265.107,70 €
- Precio mínimo oferta: 6.375.908,84 €
- Importe fianza a depositar: 318.795,44 €
Anunciante / Titular
Ayuntamiento de Burgos
promocionindustrial@aytoburgos.es
¿Te interesa esta oferta?
Puedes solicitar agendar una reunión para que tenga lugar en el Corner de Suelo Industrial (día 25 de septiembre de 2024), en la planta 3 del Fórum Evolución, en el marco del Encuentro Tecnológico Burgos Industria 4.0 2024.
La entrada al evento y la participación en el corner son gratuitas.
Ver más perfiles del Catálogo
Solicita tu ticket de entrada al evento totalmente gratuita y ven a vernos!

Organizado por:

