Encuentro Tecnológico #4burgosi40 -> Corner Suelo Industrial Burgos -> Catálogo
Resumen
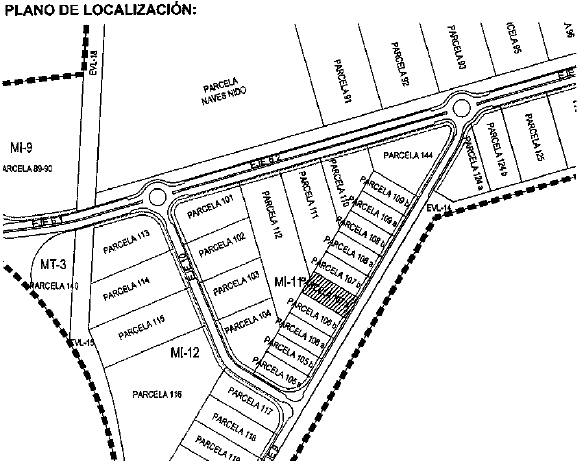
Parcela de 2 312.91 m2 de aprovechamiento (superficie de 2 891.14 m2).
Ubicación
Burgos. Polígono Industrial de Villalonquéjar
Imagen / Planos


Características
Linderos
- N: parcelas 111 y 107b
- S: EJE 9 (Viario) y parcela 106b
- E: EJE 9 (Viario) y parcela 107b
- O: parcelas 106b, 111 y 112
Precio
- Valoración previa de la parcela: 191.248,66 €
- Precio mínimo oferta: 182.228,55 €
- Importe fianza a depositar: 9.111,43 €
Anunciante / Titular
Ayuntamiento de Burgos
promocionindustrial@aytoburgos.es
¿Te interesa esta oferta?
Puedes solicitar agendar una reunión para que tenga lugar en el Corner de Suelo Industrial (día 25 de septiembre de 2024), en la planta 3 del Fórum Evolución, en el marco del Encuentro Tecnológico Burgos Industria 4.0 2024.
La entrada al evento y la participación en el corner son gratuitas.
Ver más perfiles del Catálogo
Solicita tu ticket de entrada al evento totalmente gratuita y ven a vernos!

Organizado por:

